Q.We regularly produce Class 35 gray iron, and occasionally there are batches that the machine shop says are hard to machine.-We have examined the chemical-composition and mechanical properties of the castings and cannot find anything different or out of specification that might cause the castings to cause faster tool wear. What is going on?
A. Unfortunately, your observations are not unusual. A case study conducted at the University of Alabama-Birmingham's School of Engineeringto determine metallurgical effectson machinability. The first of two reports on the results details property and microstructure data on three irons that produced tool-wear rates differing by as much as 500%. (In a subsequent report, the root cause of the difference will be presented.)
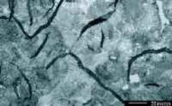
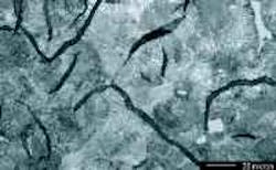
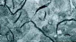
Figure 1. Typical microstructure of iron W, nital etch
Figure 2. Effect of turning speed on the volume of material removed before reaching at 6.5 mils of tool flank wear
Defining Machinability
Three irons were considered in a case study that covered a range of machinability referred to as B (Best), I ( Intermediate), and W (Worst) in terms of the rate of tool wear produced during machining. Iron B produced the lowest tool wear rate. The chemical composition, carbon equivalent, free carbon, combined carbon, pearlite hardness, bulk hardness, tensile strength, and the machinability of each iron is presented in Table 1. Machinability is expressed as the volume of metal volume removed before reaching 6.5 mils of average flank tool wear at different surface speeds.
While the irons had relatively small differences, the iron designated as B had the lowest carbon equivalent, carbon, and silicon concentrations, and the I iron had the highest CE, C, and Si contents. Usually, lower CE irons have higher strengths and lower machinability ratings. The phosphorous concentration was slightly lower in the B iron, as were the manganese and tin concentrations.
The microstructures of these irons consisted primarily of ASTM Type A graphite in pearlitic matrices in all cases. A typical microstructure is illustrated in Figure 1. Small areas of type D graphite and steadite were occasionally found in all irons. The iron designated as B exhibited trace amounts of ferrite.
There were no statistically significant variations in cell count or size in the irons. The average cell count was between 7.1 and 8.1/mm2 and the average cell diameter ranged from 0.31 to 0.34 mm. The free carbon content of "B" was slightly higher and the combined carbon slightly lower than in the other irons.
The tensile strength of Irons B, I, and W were 37.83 Ksi, 34.73 Ksi, and 36.66 Ksi, respectively. Thus, the iron with the best machinability had the higher strength. The average Brinell hardnesses of B, I, and W were 210 (s = 4), 214 (s = 6), and 215 (s = 8) respectively, based on five measurements made on surfaces that were ground plane and parallel. The indentation diameters were read with a calibrated Brinell hardness test block and are considered accurate to within 4 points BHN. The Best iron was only 4 BHN points below the other two irons, and the small differences were not statistically significant. The average pearlite microhardness values in sample B was 353 VHN (s = 10), and from 363 (s = 14) to 364 (s = 12) in the irons designated as I and W. The differences were not statistically significant.
Machining results
Each iron was machined under similar conditions on a CNC lathe at turning speeds of 650 sfm, 800 sfm, 1,200 sfm, and 1,600 sfm using tungsten carbide (WC) inserts. Usually, WC inserts can be used at speeds in the range of 450 sfm to 750 sfm, with 1,000 sfm as the usual upper limit.
The volume of metal removed before reaching 6.5 mils of flank wear as a function of turning speed is presented in Table 1, and illustrated in Figure 2. The error bars representing plus or minus one standard deviation in the measurements. The differences in the volume of metal that could be removed were statistically significant, at a confidence level of 95% at turning speeds of about 650 sfm, where carbide tools are normally used.
The highest volume removed was found in the iron designated as B, with an average volume removed of 6.4 in3 removed before reaching the flank wear limit, followed by I with an average of 4.5 in3 and finally W with an average of 1.7 in3.
The difference in tool-wear rate was about 500% at a turning speed of 650 sfpm, in spite of the fact that there was no difference in bulk hardness or pearlite hardness, and the highest strength iron had the best machinability. The toolwear rates converged at higher speeds because of the excessive heat at the tool tip at the higher speeds.
Sussequently, it was discovered that minor phases in the microstructure had an important effect on tool wear. More details will be presented in an upcoming report.
This response was prepared by Dr. Hanjun Li, Post Doctoral Fellow in the Materials Science and Engineering Department at UAB. Contact him at Tel. 205-975-7327, or at [email protected]
| Table 1. Chemical Composition, Mechanical Properties, and Machinability of Gray Irons | |||
| B | I | W | |
| CE | 3.77 | 3.87 | 3.80 |
| C | 3.18 | 3.26 | 3.19 |
| Si | 2.290 | 2.330 | 2.310 |
| P | 0.026 | 0.056 | 0.055 |
| S | 0.052 | 0.048 | 0.043 |
| Mn | 0.360 | 0.690 | 0.700 |
| Ni | 0.050 | 0.054 | 0.054 |
| Cu | 0.040 | 0.060 | 0.050 |
| Sn | 0.011 | 0.045 | 0.045 |
| Cr | 0.038 | 0.042 | 0.043 |
| Free Carbon (wt%) | 2.89 | 2.62 | 2.51 |
| Combined Carbon (wt%) | 0.29 | 0.64 | 0.68 |
| Hardness and Strength | |||
| Brinell Hardness (BHN) | 210 (4) | 214 (6) | 215 (8) |
| Hardness | 353 (10) | 363 (14) | 364 (12) |
| Tensile Strength (Ksi) | 37.83 | 34.73 | 36.66 |
| Volume Removed at 6.5 mils of Wear (in3) | |||
| 650 sfm | 6.35 (0.72) | 4.50 (0.74) | 1.74 (0.80) |
| 800 sfm | 1.76 (0.71) | 2.22 (0.40) | 1.42 (0.61) |
| 1200 sfm | 0.54 (0.53) | 0.90 (0.22) | 0.55 (0.13) |
| Note: the number in parentheses is one standard deviation (s) in the data. | |||









